
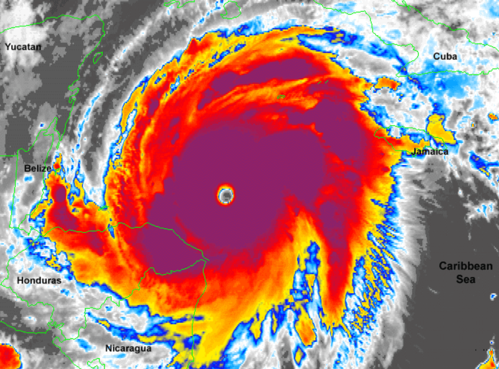
CATEGORY 5 HURRICANE
LIFESPAN: OCTOBER 22-NOVEMBER 9, 1998
MAX. SUSTAINED WINDS: 180 MPH
T-3rd Strongest Atlantic Hurricane by Wind Speed
MIN. CORE PRESSURE: 905 MBAR
T-8th Most Intense Atlantic Hurricane w/Dean (2007)
FATALITIES: >11,374
2nd Deadliest Atlantic Hurricane behind The Great Hurricane (1780)
DAMAGE: $6.08 BILLION
OVERVIEW
Credit: SSEC/CIMSS, UWM