
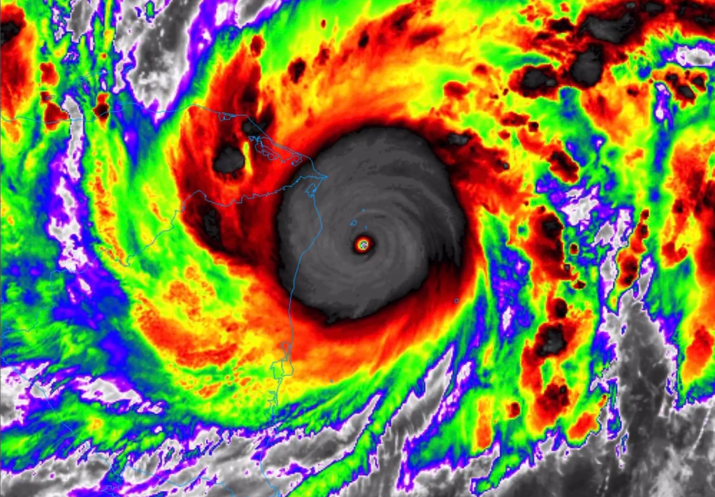
CATEGORY 4 HURRICANE
LIFESPAN: OCTOBER 31-NOVEMBER 14, 2020
MAX. SUSTAINED WINDS: 150 MPH
MIN. CORE PRESSURE: 922 MBAR
FATALITIES: >189
120 Missing
DAMAGE: $7.24 BILLION
OVERVIEW
Credit: SSEC/CIMSS, UWM
Hurricane Eta was

CATEGORY 4 HURRICANE
LIFESPAN: OCTOBER 31-NOVEMBER 14, 2020
120 Missing
OVERVIEW
Credit: SSEC/CIMSS, UWM
Hurricane Eta was